Property Detail

10600 Kemper

Mojave CA 93501

$100,000

Status: Active

Property Details

Description

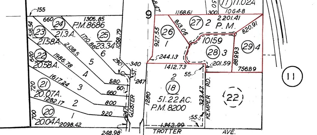
Premier Agricultural Land with High-Visibility Potential An expansive opportunity awaits with these 72+/- acres strategically positioned between Highway 14 and Sierra Highway. This offering consists of four individual parcels, providing a versatile canvas for agricultural use, residential development, or a unique investment in a high-traffic corridor. Property Highlights: Expansive Acreage: Approximately 72 acres divided into four lots. Purchase one specific parcel or the entire portfolio. Strategic Location: Exceptional visibility from both Highway 14 and Sierra Highway, making this a prime billboard property for maximum exposure. Development Potential: Zoned as Exclusive Agriculture, allowing for the construction of a home on each individual lot. Stunning Vistas: Elevated positioning offers beautiful views of the Mojave landscape and evening city lights. Utilities & Access: Electricity lines are located on the adjacent northern lot. Access is available via Kemper Rd and Trotter Ave. (Buyer to verify water/well requirements). Location & Access: The property is easily accessible via Trotter Ave from Sierra Highway. For those looking to capitalize on the proximity to the freeway and the high-visibility frontage, this land offers a rare combination of rural privacy and commercial-grade exposure.

Map Location

Listing provided courtesy of Kenneth Yamat of Bancorp One, Inc.. Last updated . Listing information © 2025 SANDICOR.

The Worland Group
Inquire Now
admin Real estate https://static.royacdn.com/Site-d7afb3ed-06c5-4cde-a376-77d1b8c38485/assets_mockup/contact_logo.png realtor # # # https://static.royacdn.com/Site-d7afb3ed-06c5-4cde-a376-77d1b8c38485/assets_mockup/contact_logo.png