Property Detail

20554 H-8

Hi Vista CA 93535

$17,500

Status: Active

Property Details

Description

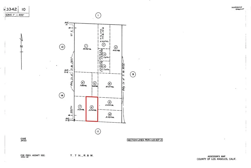
Discover 5.24 sprawling acres in the peaceful Hi Vista area of Lancasteran ideal opportunity for anyone seeking wide-open space, natural beauty, and future potential. This rectangular parcel, APN: 3342-010-008, Los Angeles County, offers approximately 334 feet of frontage on East Avenue H-8 and sits just off 205th Street East, providing convenient dirt-road access while maintaining the quiet seclusion the High Desert is known for. Surrounded by panoramic desert and mountain views, this property is also located near the Butte Valley Wildflower area, where vibrant seasonal blooms paint the landscape each spring. Whether you're looking for a recreational escape, a long-term investment, or a future homesite, this parcel delivers the serene environment and expansive setting that Hi Vista is admired for. A great opportunity to own your own piece of the Antelope Valley so come explore the possibilities today by using the neighbor's address, 20211 E Avenue H-12, Lancaster, CA 93535, then use the Southwest corner GPS coordinates: 34.712445, -117.764124.

Map Location

Listing provided courtesy of Scott Vu of Nexus Commercial. Last updated . Listing information © 2025 SANDICOR.

The Worland Group
Inquire Now
admin Real estate https://static.royacdn.com/Site-d7afb3ed-06c5-4cde-a376-77d1b8c38485/assets_mockup/contact_logo.png realtor # # # https://static.royacdn.com/Site-d7afb3ed-06c5-4cde-a376-77d1b8c38485/assets_mockup/contact_logo.png